Here’s a New Year’s reality check: most of us waste money on skincare. Every year, millions of people walk into January with high hopes for better skin. They vow to “finally get serious” about skincare, commit to a routine, and then splurge on expensive moisturizers, serums, and facial treatments that promise smoother, clearer, and more youthful-looking skin. They devour TikTok recommendations, try the newest “celebrity” product, and dabble in the latest viral miracle ingredient. They experiment with “sound baths” for skin, dusting powders, “slugging,” and 20-step K-Beauty routines that would send even the most disciplined esthetician into a spiral.And then, by spring, many of them start over. Why? Because their skin hasn’t improved.

Why does this cycle repeat each year for so many motivated people worldwide? Because most people waste thousands of dollars on skincare products and treatments that aren’t designed for their specific skin type, skin condition, and/or goals. They’re treating symptoms rather than causes. They’re chasing trends instead of precision. They’re booking treatments that aren’t appropriate for their skin’s unique needs. They’re hoping the expensive thing is the right thing.
Fortunately, there is a better way. One that replaces guessing with science, and trends with data. And this is why Skin Artisans patients who are serious about change begin their skincare journey with a VISIA® Skin Analysis.
Because great skin doesn’t happen by chance, it improves by design.
What Is VISIA® Skin Analysis?
VISIA® is a cutting-edge complexion analysis system developed by Canfield Scientific, one of the world’s most trusted leaders in medical imaging technology. This isn’t a phone camera filter. It isn’t a magnifying mirror. It isn’t “what your skin looks like under fluorescent lights.”
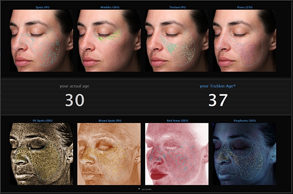
VISIA® is a medical-grade diagnostic imaging technology that captures incredibly detailed, multi-dimensional photographs of your face and analyzes your skin on both the surface and below it.

VISIA® evaluates key criteria about your skin’s health and overall condition that even the most experienced eye cannot see fully at the surface, including:
- Photodamage
- Wrinkles
- Texture irregularities
- Redness
- Porphyrins (bacteria)
- UV damage
- Brown spots
- Spider veins
- Pore concentration
VISIA doesn’t just provide “pictures,” it gives your provider a quantified profile of your skin’s overall health. It reveals concerns long before they show up in the mirror. This means you don’t chase problems, you prevent them.
How VISIA® Works: The 360° Truth About Your Skin
During your consultation, your Skin Artisans provider will position your face in the VISIA® imaging system. The machine captures a series of images using multiple lighting modalities, each designed to expose a different dimension of your complexion:
- Standard Light — Gives an even, color-corrected image of your everyday skin appearance.
- UV Photography — Illuminates sun damage, pigment irregularities, and porphyrins (bacteria that contribute to acne).
- Cross-Polarized Light — Reveals subsurface vascularity and redness.
- RBX® Technology — Isolates red and brown discoloration patterns invisible to the naked eye.
VISIA also provides something our patients love: Percentile scoring.

This compares your skin to others in a similar age group to show how you stack up against your peers. For example:
- If your wrinkle percentile is 70%, you have fewer wrinkles than 70% of people your age.
- If your UV damage percentile is 15%, you have more sun damage than most people your age.
This isn’t meant to intimidate or “skin shame” you, it’s meant to empower you with truth and data you can act on to improve your skin.
5 Reasons Why You Should Start 2026 with a VISIA® Skin Analysis (If You’re Serious About Your Skincare Goals)
1. You Learn What Your Skin Actually Needs—Not What TikTok Thinks You Need
No influencer knows your skin. No celebrity does. No coworker (unless you work at Skin Artisans!) or best friend with “this amazing eye cream” understands what’s happening beneath the surface of your complexion. But VISIA does.
VISIA reveals:
- How dehydrated your skin truly is
- Whether the breakouts you’re seeing are bacteria-driven or inflammation-driven
- Pigmentation that’s forming in certain areas
- If your “dark circles” are actually vascular, not pigment
- How uneven texture contributes to dullness
Think of VISIA like a lab test for your skin. Instead of, “I think I need a vitamin C serum,” you get:
- “You need a brightening antioxidant with melanin-inhibiting properties because we see early UV damage forming at your cheeks and temples.”
This is precision skincare, not hope-as-a-strategy skincare.

2. VISIA Eliminates Guesswork So You Don’t Waste Time or Money
Let’s be honest: skincare is an investment. You’re spending money, and most of us are on a budget. But here is what most patients don’t realize: The fastest way to waste money in aesthetics is to treat the wrong problem.
Someone with:
- Dehydration buys “anti-aging” products
- Acne triggered by bacteria books the wrong chemical peel that inflames it further
- Sun damage is treated with facials that make it look “temporarily better,” but don’t work to correct it at a deeper level
VISIA puts the right treatment in front of the right patient at the right time. Your provider evaluates your imaging results and builds a skincare plan based on facts and data, not vibes, not trends, not guesses. Most importantly, this plan evolves as your skin evolves.
3. VISIA Identifies Problems Before They Become Visible
This is where VISIA becomes truly magical. It doesn’t just identify surface-level imperfections.
VISIA reveals:
- UV-induced melanin clusters beneath the epidermis
- Early wrinkle patterns
- Vascular congestion
- Redness and inflammation
- Bacterial proliferation
- Degradation in texture

Think of it as looking at the roots of a tree, not just the leaves. The damage that manifests later—pigmentation, wrinkles, laxity, enlarged pores—is visible today in your VISIA images.
This is where the Skin Artisans approach is different: We don’t just treat. We prevent, correct, and strategically optimize. With VISIA, our patients get a roadmap, not a recommendation.
4. Your Provider Designs a Custom Strategy with Medical-Grade Products & Treatments
Data is only as valuable as the action it inspires. At Skin Artisans, your VISIA analysis is not a “digital selfie.” It is a clinical foundation for a tailored skincare strategy.
Your provider uses VISIA insights to craft a plan that may include:
- Medical-grade skincare products to protect and heal the skin barrier
- Prescription-strength retinoids (or retinol alternatives if sensitive)
- Antioxidants to repair sun or environmental damage
- Pigment modulators to treat melasma and sunspots
- Professional chemical peels to improve acne and pigmentation
- Microneedling with or without PRP to smooth skin’s texture and stimulate collagen production
- Broadband light (BBL) to reduce redness and hyperpigmentation
- Hydrating skin treatment, like DiamondGlow®, to boost skin’s luminosity and moisture levels
- Laser resurfacing to improve skin’s texture and firmness
- Neuromodulators like BOTOX® or Dysport® to soften the appearance of expression lines
- Dermal fillers to compensate for volume loss and restore contour and definition

Because here’s the thing: When a plan is tailored to your skin, your results are visible faster, and they last longer. There is no trial-and-error fatigue. There is no “maybe this will work.”
There is simply clarity and results.
5. You Can Track Your Progress, and Celebrate Your Wins!
One of VISIA’s most underrated features is its ability to track your progress over time. Every year, many Skin Artisans patients schedule their VISIA scans. Why? Because your skin is always changing! An annual VISIA allows you and your provider to adjust your skincare strategy based on the current condition of your skin and your unique goals during every chapter of your life.
VISIA at Skin Artisans: Precision Meets Partnership
Getting a VISIA Skin Analysis at Skin Artisans is more than a scan; it’s the beginning of a relationship with your skin.
Here’s how your visit unfolds:
#1 – Full VISIA Imaging
The imaging system takes a complete diagnostic photo series using three different light sources to capture your skin above and beneath the surface.
#2 – Consultation & Dialogue
You’ll meet with a provider who listens to your goals, your concerns, past routines, sensitivities, lifestyle, and priorities.
#3 – Expert Interpretation
Your provider walks you through each category, explaining what it means in plain language and answering questions openly and honestly.
#4 – Customized Plan
You walk away with a treatment + product strategy that reflects:
- Your skin health
- Your goals
- Your tolerance for downtime
- Your budget
- Your lifestyle
- Your timeline
This isn’t a one-size-fits-all “menu.” It’s a blueprint for better skin health.

Why VISIA Outperforms the Guesswork Approach
Let’s compare routes.
Approach 1: The Consumer Route
- Buy a trending cleanser
- Try a serum that sounds cool
- Add a toner
- Experiment with an acid
- Google the “best moisturizer”
- Wonder why nothing improves
You spend:
- Hundreds of dollars
- Months or years waiting
- Endless frustration
Approach 2: VISIA + Medical-Grade Skincare Strategy & Customized Treatment Plan
- Begin with diagnostic imagery
- Understand the cause of each concern
- Follow a professional roadmap
- Track measurable progress
- Adjust based on results
You spend:
- Strategically
- Intelligently
- Efficiently
The difference? Random attempts vs. data-driven action.
VISIA Helps You Future-Proof Your Skin
The most sophisticated skincare strategies today aren’t reactive. They’re proactive.
VISIA allows you to:
- Detect underlying damage before it matures
- Begin collagen interventions while the skin is still elastic
- Prevent pigmentation from surfacing
- Reduce bacteria before it becomes acne
- Calm vascular inflammation before rosacea evolves
Think about your skin as an investment portfolio. Would you rather buy stocks after a crash or before the growth curve? VISIA helps you invest in your skin early, wisely, and strategically.
In 2026, Move Past Hope. Move Into Precision.
There has never been a better time to stop guessing about your skincare. We are in the age of personalized medicine, individualized beauty, and data-driven aesthetics. Why should your skincare still be a gamble?
VISIA gives you:
- Clarity
- Confidence
- Strategy
- Accountability
- Real results
It replaces myths with metrics. It replaces chaos with control. It replaces overwhelm with empowerment.
Start Your Skincare Journey the Way Pros Do
If you’re ready to understand your skin at its core, stop wasting money, invest in treatments that actually work, monitor your progress, and see real, visible change—faster, then your next step isn’t a product. It’s knowledge.
Why wait? At Skin Artisans, your VISIA Skin Analysis consultation is complimentary. Because great skincare isn’t something we want to sell you, it’s something we want to help you master.
Schedule your complimentary VISIA Skin Analysis consultation with Skin Artisans today at any of our convenient locations, including Edina, Minnetonka, and Woodbury. Your best skin is waiting. Let’s measure it, understand it, and help it thrive!
Call (952) 767-3163 to schedule or BOOK ONLINE!
